場域介紹
為守護家人與搜救犬,悉心養護的有機香草秘境
「鼎春園農場」坐落於素有長壽村美譽的新竹縣關西鎮鳳山溪畔,這片天地遠離汙染,無重工業的喧囂,呼吸間盡是純淨與芬芳。抵達這裡,彷彿需要遵循一封私密的邀請函:從國道三號關西交流道下,沿著118縣道,必須細心聆聽農場主人陳玉霞溫柔的指引。轉進雲埔橋後,細數橋上左邊第8根路燈右轉,沿著河堤約莫一公里,便能抵達這片被自然環抱的棲所。
鼎春園取得「有機認證」、「慈心基金會綠色保育」雙驗證,陳玉霞以最嚴苛的標準、最天然的方式、最堅持的態度,溫柔地養護著這片有機香草農場。這裡的一切,從呼吸的空氣、指尖輕觸的植物,到送入體的每一口飲食,都是她拍胸脯保證的純淨與天然,這份堅持,源於她守護家人健康的初心,更是為了提供搜救犬一處安心休憩的場域而打造出的香草天地。
「鼎春園農場」坐落於素有長壽村美譽的新竹縣關西鎮鳳山溪畔,這片天地遠離汙染,無重工業的喧囂,呼吸間盡是純淨與芬芳。抵達這裡,彷彿需要遵循一封私密的邀請函:從國道三號關西交流道下,沿著118縣道,必須細心聆聽農場主人陳玉霞溫柔的指引。轉進雲埔橋後,細數橋上左邊第8根路燈右轉,沿著河堤約莫一公里,便能抵達這片被自然環抱的棲所。
鼎春園取得「有機認證」、「慈心基金會綠色保育」雙驗證,陳玉霞以最嚴苛的標準、最天然的方式、最堅持的態度,溫柔地養護著這片有機香草農場。這裡的一切,從呼吸的空氣、指尖輕觸的植物,到送入體的每一口飲食,都是她拍胸脯保證的純淨與天然,這份堅持,源於她守護家人健康的初心,更是為了提供搜救犬一處安心休憩的場域而打造出的香草天地。
香藥染草
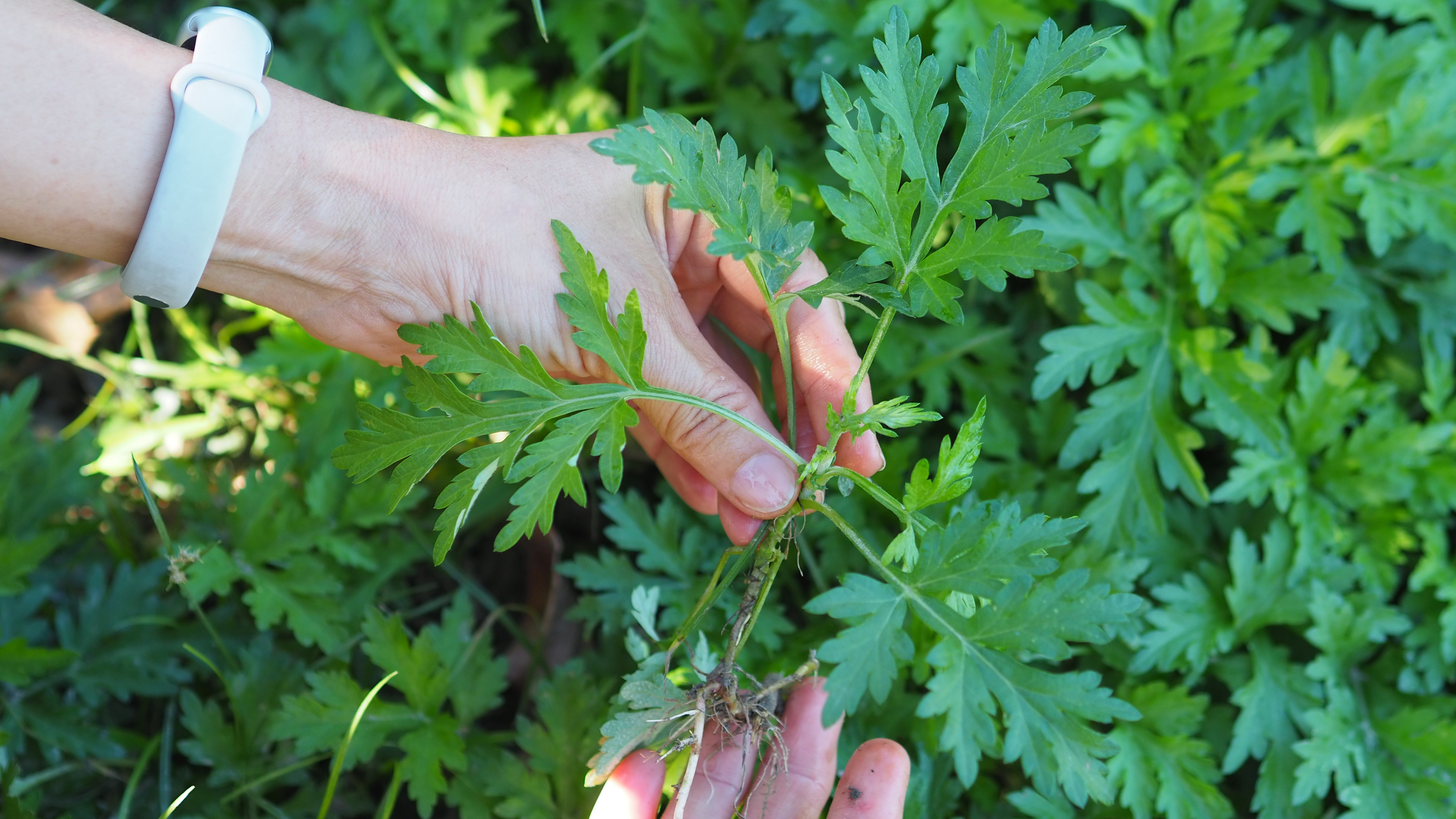
在紫色的紫蘇田裡探索五感
為了這份對家人健康的承諾,陳玉霞從一個不知道如何拿鋤頭的人,積累了500小時的課程,取得各種證照,成為真正的農夫與廚師。在3.5分地的腹地裡,她選擇了極具挑戰的露天栽種,嚴格遵守有機與綠色保育的紀律,堅持物種多樣性,不使用化學農藥與化肥。園子裡,處處是散發著迷人香氣的香草植物,還有自給自足的蔬菜、水果、咖啡豆,耳邊,甚至能傳來台灣黑羽土雞在後院子發出咕咕聲響、自在奔跑的聲音,構築出充滿生機的天然畫布。
令人驚豔的是,這片天地僅由陳玉霞和媽媽兩人齊心照料,卻擁有多到讓人讚嘆的香草植物,而最引人注目的,是那片台灣農場中少見的紫蘇,每年2月,當嫩芽心悄悄冒出,鼎春園便開始鋪展成一片溫柔的紫色地毯,5月到 10月都是採收的季節,即便不是紫蘇產季,也有其他香草輪番登場,包括迷迭香、薄荷、魚腥草,到關西在地的仙草,甚至是充滿南洋風情的香蘭葉等.
農場的導覽和遊程,都圍繞著五感體驗的探索,從到田間觀察香草的紋路,觸摸、聞香等體驗,再到體驗空間進行DIY,從製作香草茶包、香草精油肥皂、蝶豆花拓印、教小朋友製作蝶豆花漸層飲料、捏紫蘇梅飯糰,甚至古早時期以點燃乾燥後的香茅作為天然蚊香的體驗、古早仙草壓縮箱體驗,都可在鼎春園重現:夏天,這裡小小的一條溝渠對小朋友來說也極具魅力,乾淨的流水可觀察到豐富的魚蝦生態,夜晚還有螢火蟲,除了現地的體驗活動,陳玉霞也會教遊客怎麼將運用香草植物在生活之中,讓這一切的體驗延續到日常。
為了這份對家人健康的承諾,陳玉霞從一個不知道如何拿鋤頭的人,積累了500小時的課程,取得各種證照,成為真正的農夫與廚師。在3.5分地的腹地裡,她選擇了極具挑戰的露天栽種,嚴格遵守有機與綠色保育的紀律,堅持物種多樣性,不使用化學農藥與化肥。園子裡,處處是散發著迷人香氣的香草植物,還有自給自足的蔬菜、水果、咖啡豆,耳邊,甚至能傳來台灣黑羽土雞在後院子發出咕咕聲響、自在奔跑的聲音,構築出充滿生機的天然畫布。
令人驚豔的是,這片天地僅由陳玉霞和媽媽兩人齊心照料,卻擁有多到讓人讚嘆的香草植物,而最引人注目的,是那片台灣農場中少見的紫蘇,每年2月,當嫩芽心悄悄冒出,鼎春園便開始鋪展成一片溫柔的紫色地毯,5月到 10月都是採收的季節,即便不是紫蘇產季,也有其他香草輪番登場,包括迷迭香、薄荷、魚腥草,到關西在地的仙草,甚至是充滿南洋風情的香蘭葉等.
農場的導覽和遊程,都圍繞著五感體驗的探索,從到田間觀察香草的紋路,觸摸、聞香等體驗,再到體驗空間進行DIY,從製作香草茶包、香草精油肥皂、蝶豆花拓印、教小朋友製作蝶豆花漸層飲料、捏紫蘇梅飯糰,甚至古早時期以點燃乾燥後的香茅作為天然蚊香的體驗、古早仙草壓縮箱體驗,都可在鼎春園重現:夏天,這裡小小的一條溝渠對小朋友來說也極具魅力,乾淨的流水可觀察到豐富的魚蝦生態,夜晚還有螢火蟲,除了現地的體驗活動,陳玉霞也會教遊客怎麼將運用香草植物在生活之中,讓這一切的體驗延續到日常。
香藥染草
產地到餐桌 豐盛而暖心的香草盛宴
為經營農場,陳玉霞不僅精進農技、也精進廚藝,擁有廚師丙級證照的她,將她悉心種植的香藥草,轉化為餐桌上的創意與溫度,客製化風味餐與香草下午茶都難不倒她。一杯紫蘇茶、魚腥草茶,或是一盞芳香萬壽菊茶,是最熱情的迎賓禮,搭配上鼎春園自製帶著天然薄荷清香的奶酪、滑潤的仙草凍,或是充滿南洋風情的香蘭葉布丁,都深受所有訪客的喜愛。
香草入菜更是充滿千變萬化,從香茅鯖魚、迷迭香烤豬排、香蘭葉薑黃飯、紫蘇豆腐等,到帶著酸甜滋味的紫蘇梅子排和不能錯過的客家油雞,每一道菜都體現了從土地延伸到餐桌的純淨價值。園區內,更設有小型加工廠,以最自然低溫的烘乾方式,將香草原味封存,開發出薄荷茶,紫蘇茶包、紫蘇鹽、甜菊葉粉等產品。
鼎春園不只是一座生產有機香草的農場,它是一個看見作物如何生長、聞到土地的樸實氣味、品嚐季節獨有的滋味的空間,一次短暫的旅行,便能成就一場完整的五感饗宴,全然擁抱大自然的芬芳氣息。
為經營農場,陳玉霞不僅精進農技、也精進廚藝,擁有廚師丙級證照的她,將她悉心種植的香藥草,轉化為餐桌上的創意與溫度,客製化風味餐與香草下午茶都難不倒她。一杯紫蘇茶、魚腥草茶,或是一盞芳香萬壽菊茶,是最熱情的迎賓禮,搭配上鼎春園自製帶著天然薄荷清香的奶酪、滑潤的仙草凍,或是充滿南洋風情的香蘭葉布丁,都深受所有訪客的喜愛。
香草入菜更是充滿千變萬化,從香茅鯖魚、迷迭香烤豬排、香蘭葉薑黃飯、紫蘇豆腐等,到帶著酸甜滋味的紫蘇梅子排和不能錯過的客家油雞,每一道菜都體現了從土地延伸到餐桌的純淨價值。園區內,更設有小型加工廠,以最自然低溫的烘乾方式,將香草原味封存,開發出薄荷茶,紫蘇茶包、紫蘇鹽、甜菊葉粉等產品。
鼎春園不只是一座生產有機香草的農場,它是一個看見作物如何生長、聞到土地的樸實氣味、品嚐季節獨有的滋味的空間,一次短暫的旅行,便能成就一場完整的五感饗宴,全然擁抱大自然的芬芳氣息。